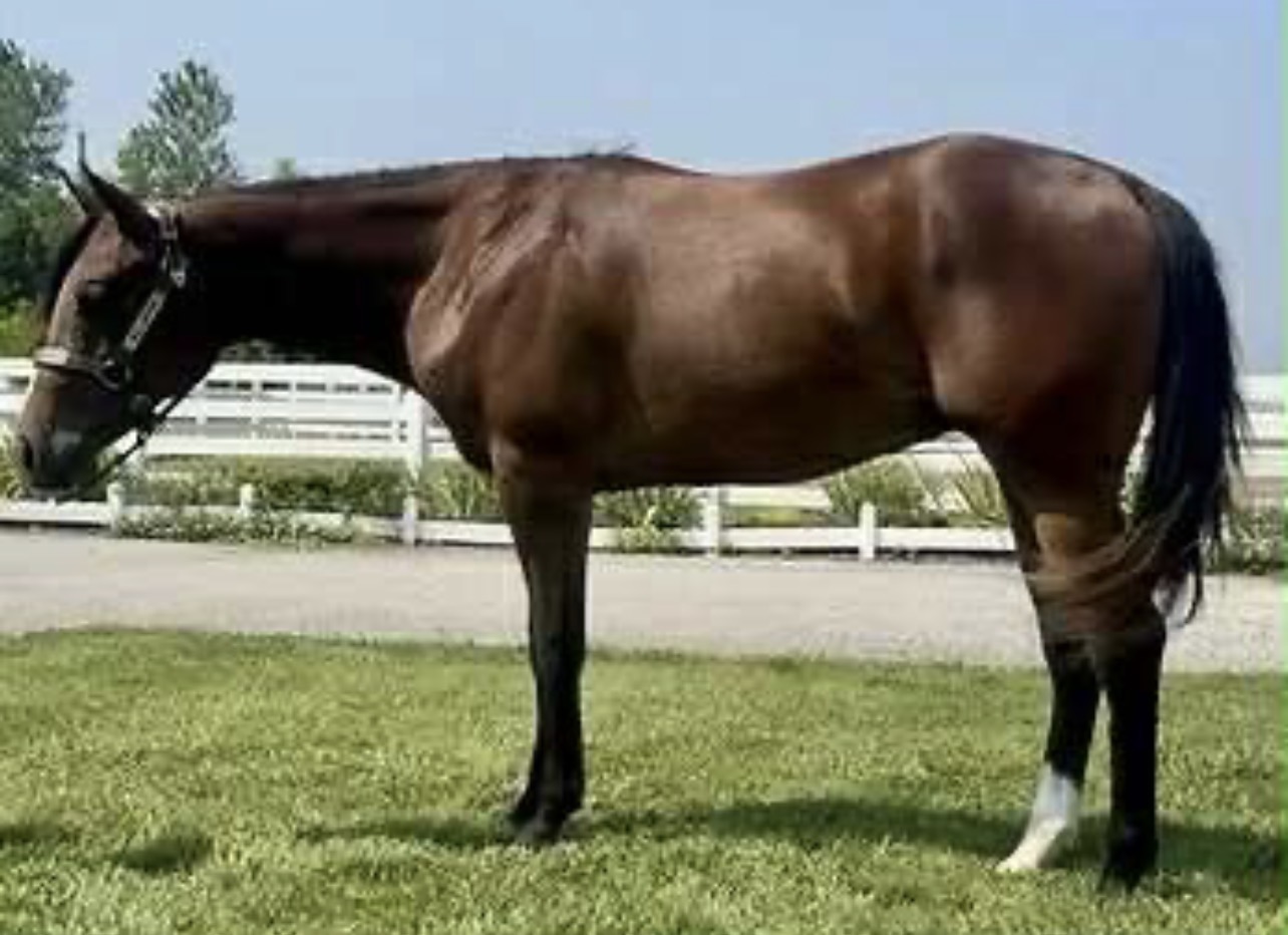
Bettin I Stop Hearts
2024 Model • Bay Gelding
Heart Stoppin x Bettin On Her Chips
Looking for that coming 2 that is eligible for all the great stuff? “ Walter” is a flashy gelding by Heart Stoppin. He would make a great all around prospect. He is BCF and Premier Sires eligible. Also, could be double registered APHA. He has just been brought in and saddled! Easy easy to work with! Going to be great minded! For more information please contact Mark Harrell at 618-407-3221









